Land for sale


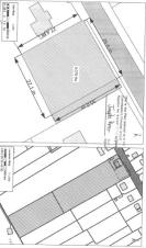
Plot at 6 New Garrabost, Point, Isle of Lewis HS2 0PL
Under Offer
£17,000 Offers in Region of
£25,000 Updated 60+ days ago
Well appointed building plot extending to 0.192 acres. Located in a convenient location for access to Stornoway and all its amenities. Services nearby. Type of Land: Building plot Size of house site: 0.192acres = 0.078hectares Views: Towards Broadbay Services: Nearby Status of Planning Permission: No planning permission applied for.